Retour
Disponibilité Immédiate
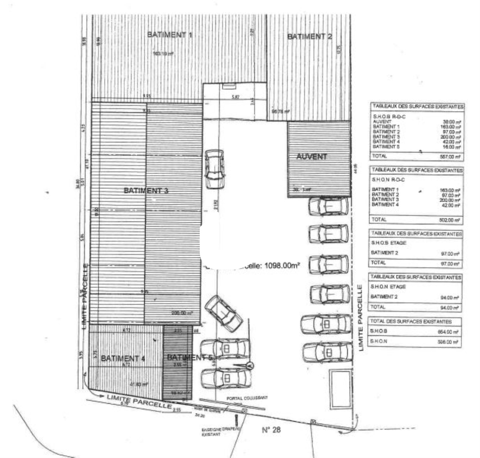
À Acheter Locaux d'Activités 640 m² JOUY EN JOSAS (78350)
Ajouter au comparateur
Vous souhaitez faciliter votre recherche ?
Créez un compte
Présentation du bien
Immprove vous propose à l'acquisition un bâtiment d'activité indépendant à JOUY EN JOSAS. Le bâtiment dispose d'une partie bureau/local commercial, d'un grand entrepôt ainsi que d'un logement de fonction en étage et une surface extérieure. Parcelle de terrain 1 098 m².
Surface totale
Nature
Divisibilité
Etat des locaux
640 m²
Locaux d'Activités
Non
Travaux à prévoir
Prix & Conditions
Vente :
1 690 000.00 € (HD)
2 640.63 € /m² (HD)
Impôt foncier :
5105.00
Conditions vente :
Loi Carrez et affectation juridique en cours de détermination
Taxe bureaux : 11,37 €/m²/an HT
Taxe bureaux : 11,37 €/m²/an HT
Prestations & équipements du bien
Le bâtiment
Immeuble moderne
Façade en bardage
Les espaces de travail
Cour privative . Travaux à prévoir
Accueil/showroom
Bureaux cloisonnés
Décloisonnement possible
Faux plafonds
Le confort au quotidien
Carrelage
Les accès
Accès véhicules légers
Accès poids lourds
Accès privatif sur rue
Double accès
Sécurité du site
Site clos
Services & espaces partagés
Réfectoire / Cafétéria
Prestations spécifiques
Chauffage par aérotherme électrique
Chauffage électrique
Autres
Douche
Vestiaire
Sanitaires
Loi Carrez et affectation juridique en cours de détermination
Taxe bureaux : 11,37 €/m²/an HT
Répartition & surfaces des espaces
Tableau des divisibilités
| Type | Étage | Surface | Prix achat (€/m² HT HC) |
Charges (achat) (€/m² HT HC) |
|---|---|---|---|---|
| Activités | Rez-de-Chaussée | 640 m² | 2 640.63 | Prix sur demande |
Performance énergétique du bien (DPE)


Informations non contractuelles
Localisation & accès
Transports en commun à proximité
22
32
Accès routier
Autoroute A86/Duplex
Nationales N12 et N118
Adresses
approximatives
Adresses
précises
Nos nouveaux biens qui pourraient vous intéresser
Locaux d'Activités - 743m²
CESTAS (33610)
CESTAS (33610)
870 000.99€ HT HC
Disponibilité : Immédiate
Surface : 743 m²
Locaux d'Activités - 3 439m²
AIZENAY (85190)
AIZENAY (85190)
3 000 011.65€ HT HC
Disponibilité : Immédiate
Surface : 3 439 m²
Locaux d'Activités - 4 000m²
SAINT PATHUS (77178)
SAINT PATHUS (77178)
3 375 000.00€ HT HC
Disponibilité : Immédiate
Surface : 4 000 m²
Locaux d'Activités - 470m²
HEROUVILLE EN VEXIN (95300)
HEROUVILLE EN VEXIN (95300)
600 002.00€ HT HC
Disponibilité : Immédiate
Surface : 470 m²
Les entrepreneurs ayant consulté cette offre ont aussi consulté celles ci
Locaux d'Activités - 1 980m²
FLEURIEUX SUR L'ARBRESLE (69210)
FLEURIEUX SUR L'ARBRESLE (69210)
Prix sur demande
Disponibilité : Immédiate
Surface : 1 980 m²
Locaux d'Activités - 743m²
CESTAS (33610)
CESTAS (33610)
870 000.99€ HT HC
Disponibilité : Immédiate
Surface : 743 m²
Locaux d'Activités - 507.70m²
SCHWEIGHOUSE SUR MODER (67590)
SCHWEIGHOUSE SUR MODER (67590)
Prix sur demande
Disponibilité : Immédiate
Surface : 507.70 m²
Locaux d'Activités - 253.85m²
SCHWEIGHOUSE SUR MODER (67590)
SCHWEIGHOUSE SUR MODER (67590)
Prix sur demande
Disponibilité : Immédiate
Surface : 253.85 m²