Retour
Disponibilité Immédiate
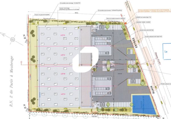
À Acheter Terrain 10 000 m² LE PLESSIS BELLEVILLE (60330)
Ajouter au comparateur
Vous souhaitez faciliter votre recherche ?
Créez un compte
Présentation du bien
Rare sur le secteur, Immprove vous propose à la vente sur la commune du Plessis Belleville (60), à proximité immédiate (900 m) de la sortie SILLY le Long, un terrain clos de 10 000 m².
Surface totale
Nature
Divisibilité
10 000 m²
Terrain
Non
Prix & Conditions
Vente :
150.00 € (HD)
150.00 € /m² (HD)
Conditions vente :
. Frais de raccordement 357 000 euros
Prestations & équipements du bien
Autres
Permis de construire obtenu
– possibilité construction de 4600 m²
Façade N2 importante
Proximité sortie N2 Silly le Long
Proximité centre commercial Le Plessis
Belleville
. Frais de raccordement 357 000 euros
Répartition & surfaces des espaces
Tableau des divisibilités
| Type | Étage | Surface | Prix achat (€/m² HT HC) |
Charges (achat) (€/m² HT HC) |
|---|---|---|---|---|
| Terrain | 10 000 m² | 150.00 | Prix sur demande |
Performance énergétique du bien (DPE)


Informations non contractuelles
Localisation & accès
Accès routier
N2 ; N330
Adresses
approximatives
Adresses
précises
Nos nouveaux biens qui pourraient vous intéresser
Terrain - 25 396m² Divisibles à partir de 1 441 m²
VILLIEU LOYES MOLLON (01800)
VILLIEU LOYES MOLLON (01800)
223 830.00€ HT HC
Disponibilité : 12 mois après accord
Surface : divisibles à partir de 1 441 m²
Terrain - 4 815m² Divisibles à partir de 2 293 m²
SOUFFLENHEIM (67620)
SOUFFLENHEIM (67620)
214 370.00€ HT HC
Disponibilité : 2ème trimestre 2026
Surface : divisibles à partir de 2 293 m²
Terrain - 1 275m² Divisibles à partir de 487 m²
VIGNEUX SUR SEINE (91270)
VIGNEUX SUR SEINE (91270)
300 235.50€ HT HC
Disponibilité : Immédiate
Surface : divisibles à partir de 487 m²
Les entrepreneurs ayant consulté cette offre ont aussi consulté celles ci
Terrain - 25 396m² Divisibles à partir de 1 441 m²
VILLIEU LOYES MOLLON (01800)
VILLIEU LOYES MOLLON (01800)
223 830.00€ HT HC
Disponibilité : 12 mois après accord
Surface : divisibles à partir de 1 441 m²
Terrain - 4 815m² Divisibles à partir de 2 293 m²
SOUFFLENHEIM (67620)
SOUFFLENHEIM (67620)
214 370.00€ HT HC
Disponibilité : 2ème trimestre 2026
Surface : divisibles à partir de 2 293 m²
Terrain - 1 275m² Divisibles à partir de 487 m²
VIGNEUX SUR SEINE (91270)
VIGNEUX SUR SEINE (91270)
300 235.50€ HT HC
Disponibilité : Immédiate
Surface : divisibles à partir de 487 m²